Society World werkt intensief samen met Baerz & Co Luxury Homes International, het trefpunt waar exclusieve huizen en veeleisende kopers samenkomen. Hieronder vindt u een geselecteerd aanbod van de meest exclusieve huizen op alle hot-spots in 20 landen rond de Middellandse zee, de Alpen, Mexico en Dubai.

DONGEN
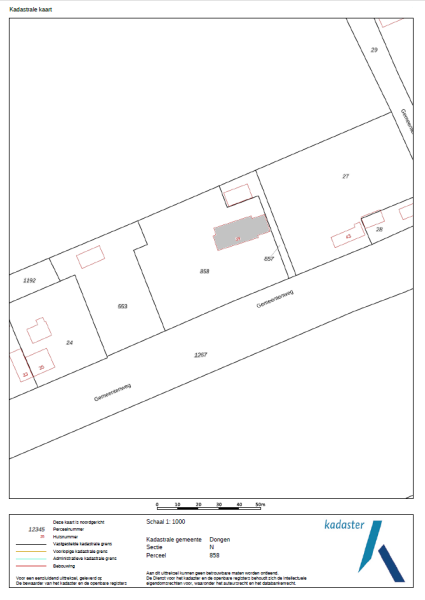
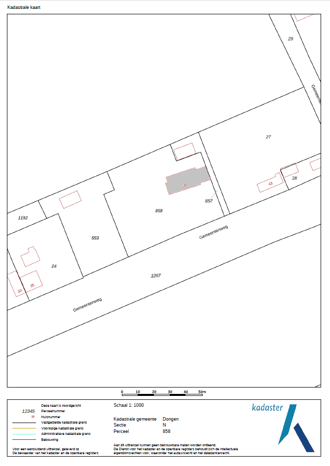
Gemeentenweg 39 - 5106 NK
Nederland

Sabina Robbe profile image
Sabina Robbe
Real Estate Agent
€2.850.000 k.k.
Woonoppervlakte
447m2
Perceeloppervlakte
3610m2
Slaapkamers
6

Omschrijving

Een zeldzame parel: deze volledig gerenoveerde en verbouwde Brabantse langgevelboerderij met rieten kap uit de 18e eeuw is een rijksmonument met een ziel. Achter de monumentale gevels schuilt een woning die met respect voor historie én oog voor luxe tot in detail is gemoderniseerd. Het resultaat: een stijlvol en comfortabel thuis in een monumentale jas. Van gevel- en dakisolatie tot vloerverwarming op de begane grond, werkelijk alles is onder handen genomen om een uniek wooncomfort te creëren.

Het riante perceel van maar liefst 3.610 m² maakt de beleving compleet. Via de statige oprijlaan bereikt u de prachtige, onder architectuur aangelegde tuin met sierlijke vijverpartijen, fraaie zichtlijnen en volop privacy. Hier vindt u ook het verwarmde zwembad met jetstream, de rietgedekte carport en een luxueus guesthouse met sauna, keuken en openhaard. Het geheel is volledig omheind en beschikt over twee elektrische toegangspoorten.

Binnen ademt elke ruimte karakter. Aan de rechterzijde van de woning bevindt zich de voormalige woonkamer, nu ingericht als stijlvolle biljartkamer met authentieke schouw en originele eikendelen vloer. De woonkeuken is het hart van het huis: een combinatie van Belgisch hardsteen en eikenhout, voorzien van kookeiland, topapparatuur en een warme sfeer. Vanuit hier loopt u door naar de lounge en de living, waar een moderne tunnelhaard centraal staat en de hoge gebinten prachtig contrasteren met de strakke wanden. De vide en grote raampartijen zorgen voor een ruimtelijk effect en direct contact met de fraai aangelegde tuin.

De verdieping biedt drie slaapkamers, alle voorzien van airco en houten vloeren met een bijzonder verhaal – afkomstig uit een kerk. De luxe badkamer is uitgerust met een ligbad, inloopdouche, dubbele wastafel en toilet. Extra bijzonder: een open werkkamer op de vide met uitzicht op de living beneden.

Het guesthouse – “Handmade by Rasenberg” – is een volwaardig luxe verblijf op zich. Met vide, openhaard, pantry, hardstenen vloer met vloerverwarming en een eigen sauna biedt dit bijgebouw ultiem comfort voor gasten of als privé retreat.

De tuin is een waar paradijs: strak vormgegeven, voorzien van verlichting, waterpartijen en volop ruimte om te genieten. In de zomer fungeert het guesthouse als buitenkeuken of bar, terwijl het zwembad uitnodigt tot ontspanning.

Een woning met geschiedenis en allure
Monumentennummer 13210 staat voor de eeuwenoude waarde van dit bijzondere object. De langgevelboerderij met rieten wolfdak, puntgevel met vlechtingen en ramen met roedenverdeling herinnert aan de 18e eeuw, maar straalt vandaag de dag pure luxe en klasse uit.

Een monumentaal thuis waar historie en modern comfort naadloos samenkomen – zeldzaam, uniek en met niets te vergelijken.

Kenmerken
• Een geheel gerenoveerd rijksmonument, goed geïsoleerd op een unieke ligging.
• Brabantse Langgevelboerderij gebouwd in de 18e eeuw (ca. 1704).
• Vloerverwarming begane grond, onder de hardstenen vloer.
• Dak is geheel vernieuwd en geïsoleerd.
• Velux dakramen aan de voorzijde werken automatisch op wisselende weersinvloeden.
• Handmade Guesthouse met naastgelegen verwarmd zwembad, dubbele carport.
• Alle gebouwen en de tuin zijn volledig voorzien van alarminstallatie en melders.
• Aparte ketels voor gastenverblijf, hoofdwoning en zwembad.
• Totale perceeloppervlakte ca. 3610 m².
• Woonoppervlakte langgevel boerderij: ca. 323 m².
• Woonoppervlakte questhouse: ca. 124 m².
• Oppervlakte gebouwgebonden buitenruimte (carport): ca. 44 m².

Tot slot
Een woning ziet, voelt en beleeft u pas echt bij een vrijblijvende bezichtiging. Bel of mail ons voor een afspraak. Wij leiden u graag rond in deze woning.

Bij een verkoop wordt als basis gebruik gemaakt van het model van de koopovereenkomst, vastgesteld door de Nederlandse Vereniging van Makelaars in onroerende goederen NVM, de Consumentenbond en de Vereniging Eigen Huis. In deze koopovereenkomst wordt standaard de verplichting tot het storten van een waarborgsom of het stellen van een bankgarantie door de koper ter grootte van 10% van de koopsom opgenomen.
Een koopovereenkomst komt tot stand onder de opschortende voorwaarde dat beide partijen de koopovereenkomst ondertekenen. Partijen kunnen derhalve noch aan een mondelinge overeenkomst, noch aan een schriftelijke bevestiging daarvan, rechten ontlenen.
Deze presentatie bestaat uit vrijblijvende informatie en is met de grootste zorg samengesteld, echter aan de inhoud van deze presentatie kunnen geen rechten worden ontleend. Indelingstekeningen en maatvoeringen zijn slechts indicatief, kunnen afwijken van de werkelijke situatie en zijn uitsluitend bedoeld om een indruk te geven van de indeling.

Kenmerken

Zwembad
Air conditioning
Overdracht
Vraagprijs
€ 2.850.000 k.k.
Status
beschikbaar
Aanvaarding
in overleg
Bouw
Soort woonhuis
Villa
Soort bouw
vrijstaande woning
Bouwjaar
1807
Soort dak
schilddak
Slaapkamers
6
Badkamers
2
Oppervlakten en inhoud
Woonoppervlakte
447 m2
Overige inpandige ruimte
4 m2
Gebouwgebonden buitenruimte
44 m2
Externe bergruimte
10 m2
Inhoud
1672 m3
Perceeloppervlakte
3610 m2
faciliteiten
Mechanische ventilatie
Tv kabel
Zwembad
Airconditioning
Rookkanaal
Sauna
Vrij uitzicht
Baerz & Co Property Brochure

Brochure

Video’s

360 Panorama’s

360°
360 Panorama - Gemeentenweg 39
360°
360 Panorama - Gemeentenweg 39
360°
360 Panorama - Gemeentenweg 39
360°
360 Panorama - Gemeentenweg 39
360°
360 Panorama - Gemeentenweg 39
360°
360 Panorama - Gemeentenweg 39
360°
360 Panorama - Gemeentenweg 39
360°
360 Panorama - Gemeentenweg 39
360°
360 Panorama - Gemeentenweg 39
360°
360 Panorama - Gemeentenweg 39
360°
360 Panorama - Gemeentenweg 39
360°
360 Panorama - Gemeentenweg 39
360°
360 Panorama - Gemeentenweg 39

Plattegronden

Van de Zande Makelaardij - Waalwijk

Grotestraat 344
5142 CD Waalwijk

sabina@zande.nl
+31 416 333059

www.zande.nl

Informatie / bezichtigingsaanvraag

Sabina Robbe profile image
Sabina Robbe
Real Estate Agent

Een luxe woning kopen in Dongen

Dongen biedt een verfijnde woonomgeving met discretie, traditie en moderne voorzieningen. De gemeenschap trekt internationale gezinnen en professionals met maatwerkdiensten en een aantrekkelijke lifestyle. Veeleisende kopers vinden er blijvende waarde en een bijzonder thuisgevoel.