Society World werkt intensief samen met Baerz & Co Luxury Homes International, het trefpunt waar exclusieve huizen en veeleisende kopers samenkomen. Hieronder vindt u een geselecteerd aanbod van de meest exclusieve huizen op alle hot-spots in 20 landen rond de Middellandse zee, de Alpen, Mexico en Dubai.

AMSTELVEEN
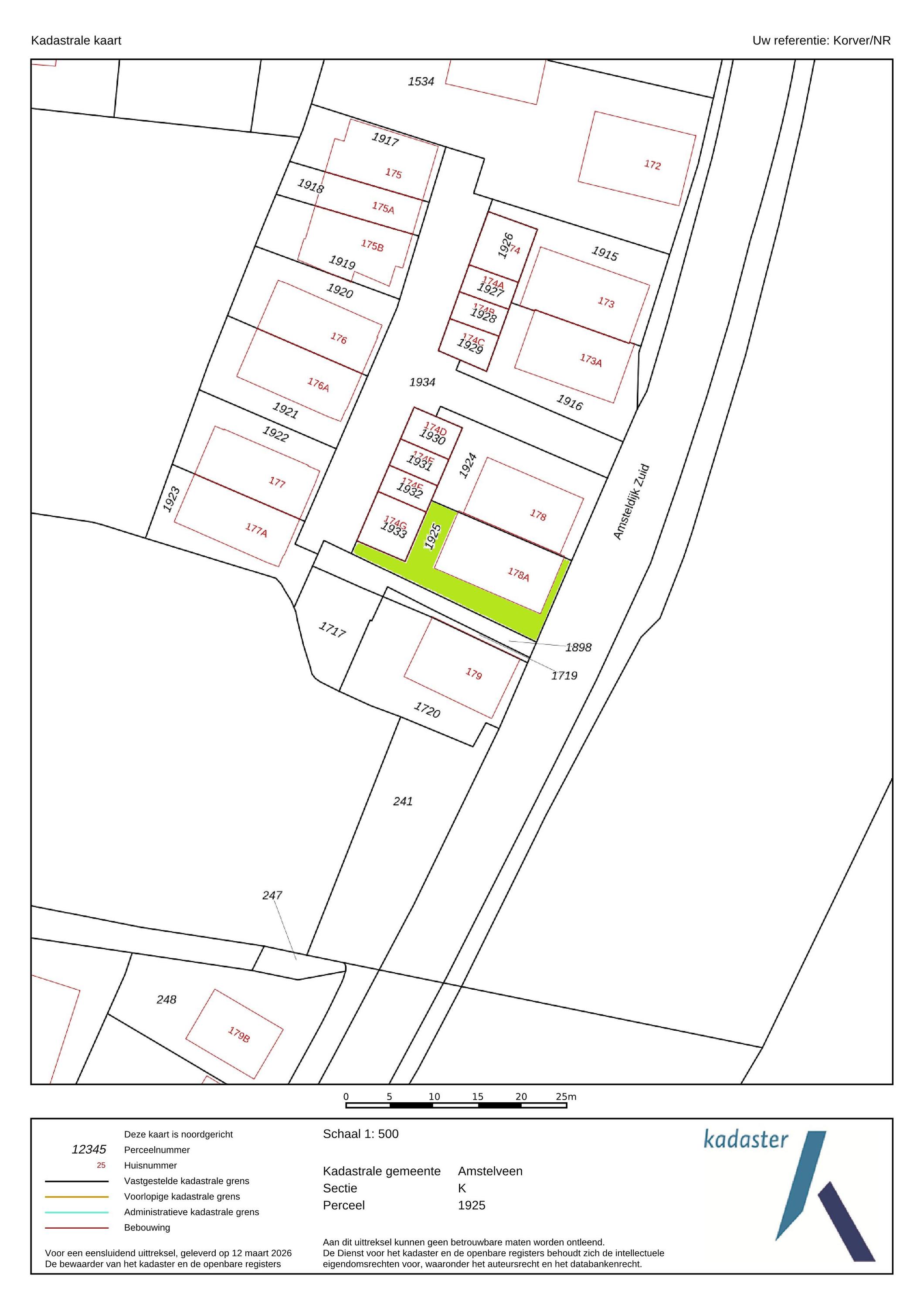
Amsteldijk Zuid 178 A - 1189 VM
Netherlands

John Korver profile image
John Korver
Real estate agent
€1,375,000 k.k.
Living Area
197m2
Plot Size
180m2
Bedrooms
4

Description

Semi detached house Amstelveen brings together riverfront tranquility, discreet design, and immediate access to city life. This refined residence, set directly on private ground along the water’s edge in Nes aan de Amstel, offers 197 m² of living space, a private mooring, and the rare luxury of both indoor sanctuary and outdoor freedom just fifteen minutes from Amsterdam.

Architecturally reimagined and immaculately finished, the property welcomes with a striking hallway and expansive living room overlooking the Amstel. Large windows embrace daylight and frame panoramic views, while modern domotica and mechanized curtains accent the spatial clarity. The open kitchen at the rear, crafted for sociable living, is fitted with contemporary appliances including a Qooker, combi ovens, and wine climate cabinet, leading to a landscaped terrace garden where space and privacy converge.

The first floor accommodates four bedrooms and two bathrooms, each equipped for year round comfort with air conditioning and abundant natural light. The ensuite master features a bespoke wardrobe and elegant bathroom, designed with light tiles, double shower, and advanced fixtures. A practical utility room, intelligent storage solutions, and a dedicated study ensure functionality without compromise.

The second floor reveals a rooftop terrace with unobstructed views over the Amstel and polder, enriched by a pergola, integrated lighting, and water connection, creating an inviting setting for quiet reflection or hosting guests. Beneath the house, the garage is configured as a versatile studio, complete with kitchen, toilet, underfloor heating, and air conditioning, accessible via both the terrace and an electric entry.

Features include sophisticated climate and security systems, underfloor heating, advanced insulation, outside sun shading, domotica, and a tailored irrigation system for all outdoor spaces. The property carries energy class A. Nes aan de Amstel balances village life, natural surroundings, and practical city access, ideal for those seeking rare privacy and spatial quality on the water’s edge. This semi detached house Amstelveen is a contemporary haven delivering both rural tranquility and metropolitan reach.

Features

Alarm system
Air conditioning
Transfer of ownership
Asking Price
€ 1.375.000 k.k.
Status
beschikbaar
Acceptance
in overleg
Construction
Kind of house
Herenhuis
Building type
twee onder een kapwoning
Construction period
2012
Energy rating
A
Roof type
plat dak
Bedrooms
4
Bathrooms
2
Surface Areas And Volume
Living Area
197 m2
Other indoor space
0 m2
Exterior space attached to the buildinge
157 m2
External storage space
9 m2
Volume in cubic meters
698 m3
Plot Size
180 m2
Facilities
Mechanische ventilatie
Alarminstallatie
Tv kabel
Buitenzonwering
Airconditioning
Domotica
Natuurlijke ventilatie
Aan water
Aan rustige weg
Vrij uitzicht
Aan vaarwater
Baerz & Co Property Brochure

Brochure

Floor Plans

Korver makelaars

Stationsweg 12
3641RG Mijdrecht

welkom@korvermakelaars.nl
+31 297 25 04 21

www.korvermakelaars.nl

Information / Viewing request

John Korver profile image
John Korver
Real estate agent

Buying a Luxury Property in Amstelveen

Amstelveen offers refined residences, a cosmopolitan atmosphere, and exceptional connectivity. The blend of green areas, international amenities, and community sophistication continues to captivate global buyers and families seeking both privacy and vibrant urban connections.